Local Service Overview

Get Ants Extermination Service in Burleson, TX

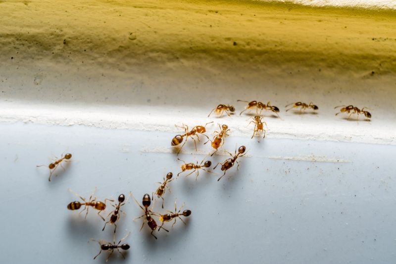
Ants extermination services for property owners in Burleson, TX, and nearby areas address ant infestations, prevent future invasions, and handle residential and commercial pest control projects.

Burleson, TX

Ants extermination services in Burleson, TX are essential for property owners seeking to maintain a safe and comfortable environment. Infestations can compromise the safety of a home or business by attracting other pests or causing structural damage, making prompt and effective treatment a practical priority. Professional exterminators utilize targeted methods to eliminate ants efficiently, helping property owners reduce ongoing maintenance needs and prevent future invasions, thereby supporting the functionality and durability of their structures.

Beyond safety and safety-related concerns, ants extermination also enhances curb appeal by keeping properties free of unsightly trails and nests. Maintaining a pest-free exterior can contribute to a more inviting appearance, which is especially valuable for homeowners looking to preserve the aesthetic value of their property. Engaging experienced local service providers ensures that effective solutions are applied, offering peace of mind and long-lasting results for property owners in Burleson, TX.

Get Ants Extermination Service Quotes

  • Ants Extermination Services are needed when ants invade homes or businesses in areas like Burleson, TX and surrounding communities. Pest control professionals can help eliminate persistent ant colonies in kitchens, basements, or outdoor spaces. These services are essential when ant activity is detected near food sources or entry points. Local exterminators can provide targeted treatments to prevent further infestations. Contacting experienced ant control specialists can help restore a pest-free environment.

Get Ants Extermination Service Quotes

Ants Extermination Service
Ants Extermination Service
Ants Extermination Service

Ants extermination services involve identifying and eliminating ant infestations within residential, commercial, or industrial properties. Professionals typically conduct thorough inspections to locate ant colonies and determine the species involved. Treatment methods may include the application of targeted insecticides, baiting systems, and barrier treatments designed to eradicate existing colonies and prevent future invasions. These services aim to address the root cause of ant problems, ensuring a more comprehensive solution rather than just surface-level removal.

Ant infestations can cause various issues for property owners, including structural damage, contamination of food supplies, and general nuisance. Certain ant species, such as carpenter ants, are known to damage wooden structures by hollowing out wood to establish nests. Additionally, ants can be vectors for bacteria, contaminating food and surfaces, which poses health concerns especially in food preparation areas. Extermination services help mitigate these problems by effectively controlling and removing ant populations, reducing the risk of damage and contamination.

Properties that commonly utilize ants extermination services include homes, apartment complexes, restaurants, and warehouses. Residential properties often seek treatment to protect kitchens, pantries, and living spaces from infestation. Commercial properties, especially those involved in food handling or storage, prioritize pest control to maintain hygiene standards and comply with health regulations. Warehouses and storage facilities also require regular pest management to prevent ant colonies from damaging stored goods or establishing long-term nests.

Professional ant extermination services are tailored to address the specific needs of each property type and infestation severity. Service providers may offer ongoing maintenance plans or one-time treatments depending on the situation. These services help property owners maintain a pest-free environment, prevent structural damage, and ensure that food and goods remain uncontaminated. Connecting with local pest control specialists can provide tailored solutions to effectively manage and eliminate ant problems across various property types.

The overview below groups typical Ants Extermination Service projects into broad ranges so you can see how smaller, mid-sized, and larger jobs often compare in Burleson, TX.

In many markets, a large share of routine jobs stays in the lower and middle ranges, while only a smaller percentage of projects moves into the highest bands when the work is more complex or site conditions are harder than average.

Initial Inspection - The cost for an ant inspection typically ranges from $50 to $150, depending on property size and complexity. Some providers may include a basic assessment as part of their service package.

Perimeter Treatment - Applying ant control treatments around a property usually costs between $100 and $300. Prices can vary based on the extent of the infestation and the treatment method used.

Spot Treatments - Spot treatment services for localized ant problems generally range from $75 to $200. These are suitable for targeting specific ant colonies or nests.

Ongoing Pest Management - Monthly or quarterly ant management plans can cost between $50 and $150 per visit. The overall expense depends on the frequency and scope of the services provided by local pros.

Actual totals will depend on details like access to the work area, the scope of the project, and the materials selected, so use these as general starting points rather than exact figures.

Get an Ants Extermination Service Quote

Ants Extermination - Local pest control providers offer specialized services to eliminate ant infestations in residential and commercial properties. They assess the extent of the problem and implement targeted treatment solutions.

Ants Nest Removal - Contractors identify and remove ant nests to prevent future invasions, using effective techniques tailored to different ant species and nesting sites.

Barrier Treatments for Ants - Service providers apply perimeter and interior treatments to create a barrier that deters ants from entering buildings and living spaces.

Natural and Chemical Ant Control - Local pros utilize a range of natural and chemical solutions to control ant populations, depending on the situation and client preferences.

Preventative Ant Control - Experts recommend and implement preventative measures to reduce the likelihood of ant re-infestation in homes and businesses.

Emergency Ant Extermination - Immediate response services are available from local providers to address urgent ant infestations that require prompt attention.

Ants Extermination Service

When evaluating ant extermination services in Burleson, TX, experience is a key factor to consider. Local professionals often have extensive knowledge of common ant species in the area and effective treatment methods tailored to local conditions. By reviewing the backgrounds of different service providers, homeowners can gain insight into their familiarity with similar properties and pest issues, helping to inform a well-rounded decision. It is advisable to seek out reputable references or reviews from previous clients to ensure that the chosen provider has a history of delivering reliable and effective ant control services.

Clear communication and written expectations are essential components of a successful pest control arrangement. Homeowners should look for service providers who provide detailed explanations of their treatment plans, methods, and any necessary preparations or follow-up steps. Establishing transparent expectations can help prevent misunderstandings and ensure that both parties are aligned on service scope and outcomes. Reputable local pros often document their service agreements, which can serve as a helpful reference for homeowners throughout the process.

Reputation and references play a significant role when comparing local ant extermination specialists. Trusted service providers are often recommended by other homeowners in the community or have established a strong presence through positive local reviews. It is beneficial to inquire about references or testimonials to verify the quality of work and customer satisfaction. Good communication skills and responsiveness also contribute to a positive experience, as they facilitate easy contact and timely updates throughout the service process.

Get an Ants Extermination Service Quote

Property owners in Burleson, TX use Ants Extermination Service services for practical projects around their homes and businesses. The sections below highlight everyday jobs and straightforward project options.

Ants Extermination Service
Ants Extermination Service

Ants extermination services are often sought by property owners in Burleson, TX when they notice persistent ant activity indoors or outdoors. Common situations include discovering ant trails near kitchens, bathrooms, or entry points, which can indicate an ongoing infestation. Property owners may also seek professional assistance after attempting DIY methods that do not fully eliminate the problem, or when ants begin to invade food storage areas, causing concern for hygiene and pest control.

In addition to visible ant colonies, property owners might look for extermination services to prevent future invasions or to address recurring issues in their yards or around the foundation. Ants can be attracted by food crumbs, water sources, or landscaping features, making regular inspections and targeted treatments valuable. Local pest control providers can help identify the species involved and implement appropriate solutions to maintain a pest-free environment.

Get an Ants Extermination Service Quote

How do ant extermination services work? Ant extermination services typically involve inspecting the property, identifying ant species and entry points, and applying targeted treatments to eliminate colonies and prevent future infestations.

Are ant extermination treatments safe for pets and children? Many extermination methods are designed to be safe around pets and children, but it is recommended to discuss specific concerns with local service providers before treatment.

How long does an ant extermination treatment usually last? The duration of effectiveness varies depending on the treatment type and level of infestation, with some services providing ongoing prevention options.

Can ant extermination prevent future infestations? Yes, professional treatments often include measures to reduce the likelihood of future ant problems by addressing entry points and nesting sites.

How can I prepare my home for ant extermination services? Homeowners are typically advised to clean the affected areas, remove food sources, and inform the service provider of any visible ant activity before treatment.

Ant Control Solutions - Local pest control providers offer targeted treatments to eliminate ant colonies and prevent future infestations.

Inspection and Identification - Pros can assess property conditions to identify ant entry points and nesting sites for effective removal strategies.

Preventive Treatments - Service providers can apply barriers and treatments to reduce the likelihood of ants returning to residential or commercial spaces.

Ongoing Monitoring - Experts can establish monitoring plans to ensure ant problems are managed and kept under control over time.

Ants Extermination Service

Considering Ants Extermination Service for a property in Burleson, TX? The sections above highlight common project types, practical options, and details that often shape the scope of work.

When you are ready, use the quote form to share a few details about your project. Local pros can review the basics and respond with options that match what you have in mind.

Get an Ants Extermination Service Quote

Ants Extermination Quotes

Our Trusted Partners
Cantu Pest Control
Orkin
Hawx Pest Control