Local Service Overview

Get Ants Extermination Service in Duncanville, TX

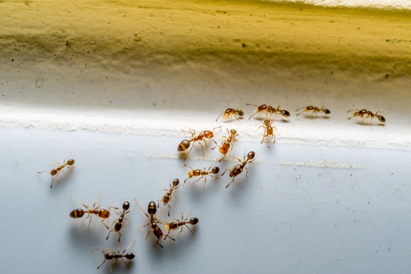
Ants extermination services for property owners in Duncanville, TX, and nearby areas address ant infestations, including residential and commercial projects like kitchens, basements, and outdoor spaces.

Duncanville, TX

Ants extermination services are an essential consideration for property owners in Duncanville, TX seeking to maintain a comfortable and safe living or working environment. Effective pest control helps prevent ant infestations that can compromise the functionality of a property by damaging structures, contaminating food supplies, or creating unsanitary conditions. By addressing ant problems promptly, property owners can enjoy a more durable and hassle-free space, reducing the need for ongoing maintenance and repairs caused by ant activity.

Choosing professional ant extermination services offers numerous benefits, including enhanced curb appeal and peace of mind. A well-maintained property free of pests appears more attractive and inviting, which can positively impact its value. Additionally, professional treatments are designed to deliver long-lasting results, ensuring that ant issues are effectively managed and reducing the likelihood of future invasions. This approach supports a safer, more comfortable environment for residents, employees, or visitors.

Get Ants Extermination Service Quotes

  • Ants Extermination Services are needed when ants invade homes or businesses in Duncanville, TX, and surrounding areas.
  • Residential properties experiencing persistent ant problems may require professional extermination services.
  • Commercial establishments facing ant infestations can benefit from targeted pest control solutions.
  • Ants that threaten gardens or outdoor spaces may need specialized treatment to prevent further intrusion.
  • Property owners seeking long-term ant management solutions can contact local pest control providers for assistance.

Get Ants Extermination Service Quotes

Ants Extermination Service
Ants Extermination Service
Ants Extermination Service

Ants extermination services involve the identification and removal of ant colonies from residential, commercial, or industrial properties. Professionals typically conduct thorough inspections to locate ant nests and determine the species involved. Treatment methods may include the application of targeted insecticides, baiting systems, or barrier treatments designed to eliminate existing colonies and prevent future invasions. These services aim to address ant infestations efficiently, reducing the nuisance and potential damage caused by these persistent pests.

Ants can cause various problems for property owners, including contamination of food supplies, damage to structures, and the spread of bacteria through their foraging activities. Certain species, such as carpenter ants, are known to compromise wooden structures, leading to costly repairs if left untreated. Additionally, ant infestations can become a source of discomfort and frustration for residents or employees, especially when ants invade kitchens, dining areas, or storage spaces. Professional extermination services help mitigate these issues by removing colonies and implementing preventative measures.

The types of properties that commonly utilize ants extermination services range from single-family homes to larger commercial buildings. Residential properties often seek help when ants invade kitchens, bathrooms, or outdoor spaces. Commercial establishments, particularly those involved in food service or retail, require regular pest management to maintain hygiene standards and comply with health regulations. Warehouses, restaurants, and grocery stores are examples of facilities that frequently need ongoing ant control to prevent infestations that could disrupt operations or compromise product safety.

Local pest control professionals offer tailored solutions to address the specific needs of each property type. They assess the severity of the infestation, identify the ant species involved, and recommend appropriate treatment options. Whether dealing with minor outdoor ant activity or severe indoor colonies, these specialists focus on effective eradication and long-term prevention. Property owners in areas like Duncanville, TX, and nearby communities can seek assistance from experienced providers to manage ant problems and protect their spaces from future invasions.

The overview below groups typical Ants Extermination Service projects into broad ranges so you can see how smaller, mid-sized, and larger jobs often compare in Duncanville, TX.

In many markets, a large share of routine jobs stays in the lower and middle ranges, while only a smaller percentage of projects moves into the highest bands when the work is more complex or site conditions are harder than average.

Initial Inspection - The cost for an ant inspection typically ranges from $50 to $150, depending on the property size and complexity. This fee covers identifying ant species and infestation severity in Duncanville, TX area homes and businesses.

Basic Treatment - Standard ant extermination services usually cost between $100 and $300 for a single treatment. Larger properties or severe infestations may increase the price, with some services reaching up to $500.

Follow-up Services - Follow-up visits to ensure ant eradication generally cost between $50 and $200 each. Multiple visits might be recommended for persistent infestations, with total costs varying accordingly.

Comprehensive Pest Control - Full-service ant control packages, including multiple treatments and inspections, typically range from $200 to $600. Prices depend on property size and infestation complexity in the local area.

Actual totals will depend on details like access to the work area, the scope of the project, and the materials selected, so use these as general starting points rather than exact figures.

Get an Ants Extermination Service Quote

Ants Extermination services connect homeowners with local pest control professionals experienced in eradicating ant infestations in residential and commercial properties.

Ants Extermination projects involve identifying ant species and implementing targeted treatment plans to eliminate colonies and prevent future invasions.

Ants Extermination providers offer solutions for both indoor and outdoor ant problems, ensuring comprehensive removal and ongoing protection.

Ants Extermination services are suitable for addressing common ant issues in homes, restaurants, and other commercial spaces in Duncanville, TX, and nearby areas.

Ants Extermination specialists utilize various methods including baiting, trapping, and chemical treatments to effectively control ant populations.

Ants Extermination projects may involve inspecting property perimeter and interior spaces to identify entry points and nesting sites for thorough treatment.

Ants Extermination Service

When selecting a professional for ant extermination services in Duncanville, TX, experience is an important factor to consider. Homeowners should look for local service providers with a proven track record in pest control, particularly in handling ant infestations. An established local pro often possesses valuable knowledge of common ant species in the area and effective treatment methods. Reviewing the background and duration of a provider’s operation can help gauge their familiarity with local conditions and the complexity of pest issues specific to Duncanville and surrounding communities.

Clear communication and written expectations are essential when working with ant extermination specialists. Reputable local pros typically provide detailed service descriptions, outlining the scope of work, treatment procedures, and any necessary follow-up. This transparency helps homeowners understand what to expect and ensures there are no surprises after the service is completed. Effective communication also involves responsiveness to questions and concerns, fostering trust and clarity throughout the process.

References from previous clients and reputable sources can serve as valuable indicators of a local provider’s reliability. Homeowners are encouraged to seek out local pros with positive feedback from past customers or those recommended by trusted sources in the community. Additionally, a professional’s ability to maintain open lines of communication and provide consistent updates contributes to a smooth service experience. It’s important to remember that this platform introduces local options and does not perform the pest control work itself, but helps connect homeowners with qualified, nearby service providers.

Get an Ants Extermination Service Quote

Property owners in Duncanville, TX use Ants Extermination Service services for practical projects around their homes and businesses. The sections below highlight everyday jobs and straightforward project options.

Ants Extermination Service
Ants Extermination Service

Ants extermination services are commonly sought by property owners in Duncanville, TX, dealing with persistent ant infestations in residential or commercial spaces. Ants can invade kitchens, bathrooms, and other areas, attracted by food sources and moisture, leading to potential inconvenience and concerns about hygiene. Local service providers offer solutions to eliminate these pests and help restore a clean, pest-free environment.

Property owners may also look for ant extermination services after noticing increased ant activity or evidence of nests around their property. Ants can sometimes form large colonies that are difficult to control without professional assistance. Engaging local pros can ensure effective treatment methods are used to manage and prevent future ant problems, maintaining the comfort and safety of the property.

Get an Ants Extermination Service Quote

How do ant extermination services work? Ant extermination services typically involve identifying the ant species and their nests, then applying targeted treatments to eliminate colonies and prevent future infestations.

Are ant treatments safe for pets and children? Most ant extermination methods used by local service providers are designed to be safe for pets and children when applied correctly; it is recommended to follow any specific safety instructions provided.

How long does an ant extermination treatment last? The duration of effectiveness varies depending on the treatment type and severity of the infestation, with some services offering ongoing prevention options.

Will I need multiple visits for ant control? Depending on the extent of the ant problem, multiple visits or treatments may be recommended to fully eliminate colonies and ensure long-term control.

How can I prevent future ant infestations? Local pros often suggest removing food sources, sealing entry points, and maintaining cleanliness to help prevent future ant problems after treatment.

Ant Control Solutions - Local pest control providers offer targeted treatments to eliminate ant colonies and prevent future infestations.

Inspection and Identification - Pros can assess property conditions to identify ant species and pinpoint entry points for effective removal.

Barrier Treatments - Service providers apply barriers around structures to block ants from entering living or working spaces.

Ongoing Monitoring and Prevention - Experts recommend regular inspections and preventative measures to maintain an ant-free environment.

Ants Extermination Service

Considering Ants Extermination Service for a property in Duncanville, TX? The sections above highlight common project types, practical options, and details that often shape the scope of work.

When you are ready, use the quote form to share a few details about your project. Local pros can review the basics and respond with options that match what you have in mind.

Get an Ants Extermination Service Quote

Ants Extermination Quotes

Our Trusted Partners
Cantu Pest Control
Orkin
Hawx Pest Control