Local Service Overview

Get Ants Extermination Service in Waxahachie, TX

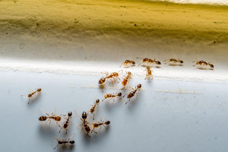
Ants extermination services for property owners in Waxahachie, TX, and nearby areas address ant infestations, prevent future invasions, and handle residential and commercial pest control projects.

Waxahachie, TX

Ants extermination services are essential for property owners in Waxahachie, TX seeking to maintain a comfortable and functional living or working environment. Effective pest control helps prevent ant infestations that can disrupt daily routines, cause property damage, and compromise hygiene. By addressing ant issues promptly, property owners can enjoy a safer space, reduce the likelihood of future infestations, and minimize ongoing maintenance needs, ensuring their property remains in optimal condition.

Choosing professional ant extermination services also offers benefits related to curb appeal and durability. A pest-free property looks more inviting and well-maintained, which can enhance overall aesthetic appeal. Additionally, targeted treatments help protect structures from potential damage caused by ants, contributing to the long-term durability of the property. This proactive approach supports a safe, attractive, and resilient environment for residents and visitors alike.

Get Ants Extermination Service Quotes

  • Ants Extermination - needed when ants invade kitchens, dining areas, or other indoor spaces in residential or commercial properties.
  • Ants Extermination - required when outdoor ant mounds or trails threaten to spread into living or working areas in nearby neighborhoods.
  • Ants Extermination - sought after when ant infestations persist despite basic cleaning or DIY attempts in homes or businesses.
  • Ants Extermination - necessary when multiple ant species are present, indicating a significant or ongoing pest problem.
  • Ants Extermination - appropriate when new ant activity appears after previous treatments or inspections in the Waxahachie, TX area and surrounding communities.

Get Ants Extermination Service Quotes

Ants Extermination Service
Ants Extermination Service
Ants Extermination Service

Ants extermination services involve identifying and eliminating ant infestations within residential, commercial, or industrial properties. Professionals typically conduct thorough inspections to determine the extent of the ant problem and locate nesting sites. Treatment options may include the application of targeted insecticides, baiting systems, and barriers designed to prevent ants from returning. These services aim to reduce or eradicate ant populations, helping to restore comfort and hygiene in affected spaces.

Ant infestations can cause a variety of issues, including property damage, contamination of food supplies, and general nuisance. Certain ant species, such as carpenter ants, are known to damage wood structures, which can lead to costly repairs if not addressed promptly. Additionally, ants can invade kitchens, pantries, and other areas where food is stored, creating unsanitary conditions. Professional extermination services help manage these problems by removing colonies and implementing preventive measures to minimize future invasions.

Properties that commonly utilize ants extermination services include single-family homes, apartment complexes, restaurants, and retail establishments. Homes often seek treatment to protect food storage areas and prevent structural damage. Commercial properties, especially food service businesses, require regular pest control to maintain hygiene standards and comply with health regulations. In addition, warehouses and storage facilities may also engage pest control providers to safeguard inventory from ant infestations, ensuring operations remain uninterrupted.

Engaging with local pest control providers ensures that ant problems are addressed efficiently and effectively. These specialists have the knowledge and tools necessary to handle various types of ant species and infestation levels. Whether dealing with a small nuisance or a large-scale invasion, property owners can contact local pros to receive tailored solutions that fit their specific needs. Proper treatment and prevention strategies can help maintain a pest-free environment and protect property value.

The overview below groups typical Ants Extermination Service projects into broad ranges so you can see how smaller, mid-sized, and larger jobs often compare in Waxahachie, TX.

In many markets, a large share of routine jobs stays in the lower and middle ranges, while only a smaller percentage of projects moves into the highest bands when the work is more complex or site conditions are harder than average.

Initial Inspection - The cost for an ant inspection typically ranges from $50 to $150, depending on property size and complexity. This fee covers a thorough assessment to identify ant activity and entry points.

Perimeter Treatment - Applying ant control treatments around the property generally costs between $100 and $300. Prices vary based on the extent of the treatment area and the type of products used.

Spot Treatments - For targeted ant nest treatments, costs can range from $75 to $200 per visit. These are suitable for addressing specific ant colonies or problem areas.

Ongoing Maintenance - Regular service plans for ant prevention typically cost between $200 and $500 annually. These plans often include scheduled visits and treatment applications to keep ants at bay.

Actual totals will depend on details like access to the work area, the scope of the project, and the materials selected, so use these as general starting points rather than exact figures.

Get an Ants Extermination Service Quote

Ants Extermination services involve professionals who specialize in identifying and eliminating ant colonies within residential or commercial properties. They use targeted treatment methods to address ant infestations effectively.

Residential Ants Control focuses on removing ant problems from homes, ensuring living spaces are free from pests that can cause nuisance or damage. Local service providers offer tailored solutions for household infestations.

Commercial Ants Extermination services help businesses manage ant issues that may disrupt operations or affect customer experience. Experts implement strategies suitable for various commercial environments.

Emergency Ants Removal services are available for urgent cases where ant infestations require immediate attention to prevent further spread or damage. Local pros respond promptly to such situations.

Preventive Ants Treatments involve applying barrier methods and ongoing monitoring to prevent future ant invasions. Service providers offer customized plans to maintain pest-free properties.

Eco-friendly Ants Control solutions utilize environmentally safe products and methods to eliminate ants while minimizing impact on the surrounding area. Local specialists can advise on suitable options.

Ants Extermination Service

When comparing ant extermination services, it is important to evaluate the experience of local professionals. Pros with extensive background in pest control often demonstrate a deeper understanding of ant behaviors and effective treatment methods. Potential clients can inquire about the duration of their service history in the area, as well as the variety of ant issues they have successfully addressed. This experience can contribute to more informed recommendations and tailored solutions for specific home environments.

Clear communication and well-defined written expectations are essential when selecting a pest control provider. Reputable local pros typically outline their service approaches, what homeowners can expect during and after treatments, and any necessary preparations or follow-up steps. Having this information in writing helps ensure transparency and allows homeowners to make informed decisions. It also provides a reference point for addressing any questions or concerns that may arise throughout the process.

References and reputation are valuable indicators of a service provider’s reliability. Homeowners are encouraged to seek out local pros with established reputations, which can often be verified through reputable references or community feedback. Positive testimonials and recommendations from neighbors or previous clients can offer insights into the quality of service and professionalism. Additionally, open communication channels and responsiveness from the pros can further support a smooth and satisfactory experience with ant extermination services.

Get an Ants Extermination Service Quote

Property owners in Waxahachie, TX use Ants Extermination Service services for practical projects around their homes and businesses. The sections below highlight everyday jobs and straightforward project options.

Ants Extermination Service
Ants Extermination Service

Ants extermination services are commonly sought by property owners in Waxahachie, TX, when ants become a persistent nuisance in homes or businesses. Common situations include discovering ant trails along baseboards, finding nests in wall voids, or noticing an increasing number of ants in kitchens and pantry areas. These services help address immediate infestations and prevent future invasions, especially during warmer months when ants are more active and seek out indoor spaces for shelter and food.

Property owners may also seek ant extermination when they notice signs of ant activity around the exterior of their property, such as mounds or trails leading to entry points. Effective treatment can help protect the structure from potential damage caused by certain ant species and reduce the likelihood of repeated invasions. Connecting with local service providers ensures that property owners in Waxahachie can access tailored solutions to manage ant problems efficiently.

Get an Ants Extermination Service Quote

How do ant extermination services work? Ant extermination services typically involve inspecting the property to identify ant colonies, applying targeted treatments to eliminate existing ants, and implementing preventive measures to reduce future infestations. Local service providers tailor their approach based on the ant species and the extent of the problem.

Are ant treatments safe for pets and children? Many ant extermination products used by local pros are formulated to be safe when applied properly. It is advisable to discuss concerns with the service provider to ensure appropriate precautions are taken during treatment.

How long does an ant extermination treatment last? The duration of effectiveness varies depending on the treatment method and the severity of the infestation. Service providers can advise on follow-up treatments or preventive strategies to maintain control over time.

Can ant extermination services prevent future infestations? Yes, professional treatments often include preventive measures such as barrier treatments and habitat elimination to help reduce the likelihood of future ant problems.

What should I do before a pest control visit? It is recommended to clear the area around ant entry points and inform the service provider of any specific concerns or areas of activity to facilitate effective treatment.

Ants Identification and Inspection - Local pest control providers can assess your property to identify ant species and determine the extent of the infestation.

Ant Extermination Solutions - Professionals offer targeted treatments to eliminate ants and prevent future invasions effectively.

Preventive Ant Control - Service providers can recommend and implement measures to reduce attractants and block entry points around your property.

Ongoing Monitoring and Maintenance - Regular inspections and treatments help maintain ant-free environments and address new activity promptly.

Ants Extermination Service

Considering Ants Extermination Service for a property in Waxahachie, TX? The sections above highlight common project types, practical options, and details that often shape the scope of work.

When you are ready, use the quote form to share a few details about your project. Local pros can review the basics and respond with options that match what you have in mind.

Get an Ants Extermination Service Quote

Ants Extermination Quotes

Our Trusted Partners
Cantu Pest Control
Orkin
Hawx Pest Control