Local Service Overview

Get Ants Extermination Service in Crowley, TX

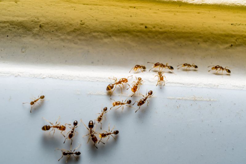
Ants extermination services for property owners in Crowley, TX, and nearby areas address ant infestations, including nests and trails, across residential and commercial properties.

Crowley, TX

Ants extermination services are essential for property owners in Crowley, TX seeking to maintain a comfortable and functional living or working environment. Effective pest control helps prevent ant infestations that can compromise the safety and hygiene of a property, reducing the risk of damage to structures and stored belongings. By addressing ant issues promptly, property owners can enjoy a sense of peace and stability, ensuring their space remains safe and inviting for residents, employees, and visitors alike.

Choosing professional ant extermination services offers several benefits, including improved curb appeal and reduced maintenance needs. A property free of ants looks more appealing and well-maintained, which can enhance overall value. Additionally, targeted treatments help ensure long-lasting results, minimizing the likelihood of recurring infestations and the need for frequent interventions. This proactive approach supports the durability of the property’s infrastructure while providing ongoing comfort and safety for those who occupy the space.

Get Ants Extermination Service Quotes

  • Ants Extermination Services are recommended when homeowners notice ant trails or nests inside or around their property in areas like Crowley, TX.
  • These services are suitable for addressing ant infestations in residential yards, gardens, or indoor spaces in nearby communities.
  • Ant control solutions can help prevent future invasions in commercial or industrial properties in the region.
  • Professional extermination is advised when ant populations grow large or difficult to manage with DIY methods in the local area.
  • Contacting local pest control providers ensures targeted treatment for ant problems in neighborhoods across Crowley and surrounding areas.

Get Ants Extermination Service Quotes

Ants Extermination Service
Ants Extermination Service
Ants Extermination Service

Ants extermination services involve identifying and eliminating ant infestations within residential, commercial, or industrial properties. These services typically include thorough inspections to locate ant colonies and entry points, followed by targeted treatment methods to eradicate the pests. Local service providers often utilize a combination of baiting, residual sprays, and barrier treatments to effectively control ant populations and prevent future invasions. The goal is to remove ants from indoor and outdoor spaces while minimizing disruption to the property’s occupants.

Ant infestations can cause various problems, including property damage, contamination of food supplies, and general nuisance. Some ant species, such as fire ants, pose health risks due to their painful stings and potential allergic reactions. Other types, like sugar ants or pavement ants, may not be dangerous but can quickly become overwhelming if left untreated. Ants tend to establish colonies near food sources or moisture, which can lead to repeated invasions if not properly addressed. Extermination services aim to eliminate these colonies and reduce the likelihood of recurring issues.

Properties that commonly utilize ants extermination services include homes, apartment complexes, restaurants, grocery stores, and warehouses. Residential properties often seek treatment to protect kitchens, pantries, and gardens from ant activity. Commercial properties, especially those involved in food handling or storage, prioritize pest control to comply with health regulations and maintain hygiene standards. Additionally, outdoor spaces around commercial and residential properties may be treated to create a barrier that prevents ants from entering structures or establishing new colonies nearby.

Professional ant extermination services are designed to provide a comprehensive approach to pest management, tailored to the specific needs of each property. Service providers assess the severity of the infestation, identify the ant species involved, and develop a treatment plan that targets the source of the problem. Regular maintenance or follow-up treatments may be recommended to ensure long-term control and prevent future invasions. Contacting local pest control experts can help property owners address ant issues effectively and maintain a pest-free environment.

The overview below groups typical Ants Extermination Service projects into broad ranges so you can see how smaller, mid-sized, and larger jobs often compare in Crowley, TX.

In many markets, a large share of routine jobs stays in the lower and middle ranges, while only a smaller percentage of projects moves into the highest bands when the work is more complex or site conditions are harder than average.

Initial Inspection - The cost for an ant inspection typically ranges from $50 to $150, depending on the property size and complexity. Some providers may include a basic assessment as part of a broader service package.

Perimeter Treatment - Applying ant control around the exterior of a home usually costs between $100 and $300. Larger properties or those requiring extensive treatment may see higher charges.

Interior Treatment - Interior ant extermination services generally fall within the $80 to $200 range. The price varies based on the number of affected areas and the level of infestation.

Ongoing Monitoring - For regular monitoring or maintenance visits, service providers might charge $50 to $150 per session. Costs depend on the frequency and scope of the treatments needed.

Actual totals will depend on details like access to the work area, the scope of the project, and the materials selected, so use these as general starting points rather than exact figures.

Get an Ants Extermination Service Quote

Ants Extermination services connect property owners with local pest control providers experienced in eliminating ant infestations. These professionals assess the extent of ant problems and implement targeted treatment solutions.

Residential Ants Control providers specialize in addressing ant issues in homes, offering tailored treatments to protect living spaces from recurring infestations. They focus on safe and effective methods suitable for household environments.

Commercial Ants Extermination services link businesses with pest control experts capable of managing ant problems in commercial properties, ensuring minimal disruption to operations. These providers use strategies appropriate for various business settings.

Outdoor Ants Treatment professionals focus on eliminating ant colonies outside structures, preventing them from entering buildings. They utilize treatments designed to target nests in yards, gardens, and surrounding areas.

Emergency Ants Removal services connect individuals with providers available for urgent ant extermination needs, addressing immediate infestations to protect property and prevent further spread. These providers respond promptly to urgent requests.

Ants Prevention Consulting experts offer advice and strategies to help property owners prevent future ant invasions through environmental modifications and ongoing maintenance practices. They assist in creating less attractive conditions for ants.

Ants Extermination Service

When comparing local professionals for ant extermination services, experience is a key factor to consider. Homeowners should look for service providers who have a proven track record in handling ant infestations within the Crowley, TX area. An experienced contractor is more likely to understand the specific behaviors and habitats of local ant species, which can contribute to more effective treatment plans. It’s helpful to review how long a professional has been operating in the community and whether they have successfully addressed similar cases for other homeowners nearby.

Clear communication and well-defined expectations are essential when selecting a pest control provider. Reputable local pros typically provide detailed information about their service process, what homeowners can expect during and after treatment, and any necessary preparations or follow-up steps. This transparency helps ensure that homeowners are informed and comfortable with the approach taken to eliminate ant issues. Open lines of communication also facilitate addressing questions or concerns that may arise throughout the service.

Reputable references and positive feedback from previous clients can offer valuable insights into a contractor’s reliability and quality of work. Homeowners are encouraged to seek out local pros with a history of satisfied customers in the Crowley area. While the lead-generation platform introduces options, it does not perform the work itself; instead, it connects users with qualified local service providers. This allows homeowners to evaluate their choices based on reputation, experience, and communication, helping to find a pest control professional suited to their specific needs.

Get an Ants Extermination Service Quote

Property owners in Crowley, TX use Ants Extermination Service services for practical projects around their homes and businesses. The sections below highlight everyday jobs and straightforward project options.

Ants Extermination Service
Ants Extermination Service

Ants extermination services are often sought by property owners in Crowley, TX, facing persistent ant invasions that disrupt daily living. Common situations include discovering ant trails inside the home, especially around kitchens and dining areas, or noticing ant activity outdoors near foundations and landscaping. Property owners may look for professional assistance to effectively eliminate these pests and prevent future infestations, ensuring a comfortable and pest-free environment.

In addition, property owners might seek ants extermination services when preparing for home renovations or landscaping projects that could disturb ant nests. Other reasons include wanting to address recurring ant problems that DIY methods have failed to resolve or seeking a comprehensive treatment plan to safeguard the property from future invasions. Connecting with local service providers can help address these everyday pest control concerns efficiently.

Get an Ants Extermination Service Quote

What methods do ant extermination services use? Local service providers typically use a combination of baiting, spraying, and dusting techniques to eliminate ant colonies effectively.

Are the treatments safe for pets and children? Many providers use treatment options that are safe for homes with pets and children; it's best to contact them for specific safety information.

How long does an ant extermination treatment usually take? The duration of treatment varies based on the extent of the infestation, but most services aim to complete the process efficiently for quick results.

Will I need multiple treatments to eliminate ants? Some ant problems may require more than one treatment to fully eradicate the colony, depending on the species and severity of the infestation.

How can I prevent future ant problems? Local pros often recommend sealing entry points, maintaining clean surroundings, and removing food sources to help prevent future ant issues.

Ants Extermination Solutions - Local service providers can assess ant infestations and recommend effective removal strategies tailored to your property.

Preventative Ant Control - Professionals can identify and eliminate ant entry points to help prevent future invasions.

Residential and Commercial Treatments - Service providers offer targeted treatments suitable for both homes and business environments.

Ongoing Monitoring and Maintenance - Local pros can establish plans to monitor ant activity and maintain a pest-free space over time.

Ants Extermination Service

Considering Ants Extermination Service for a property in Crowley, TX? The sections above highlight common project types, practical options, and details that often shape the scope of work.

When you are ready, use the quote form to share a few details about your project. Local pros can review the basics and respond with options that match what you have in mind.

Get an Ants Extermination Service Quote

Ants Extermination Quotes

Our Trusted Partners
Cantu Pest Control
Orkin
Hawx Pest Control